

















Ціна за м2: 70 $
Дніпро
Шевченківський
Царське село мкр.
Татарська вул.
+ Общая площадь дома 270 м кв
+ 2 этажа, подвал-убежище, 6 комнат
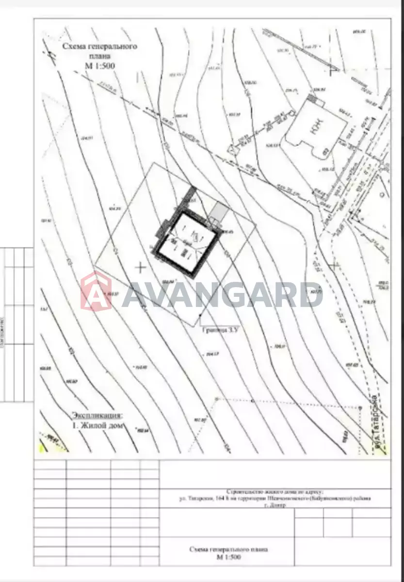
+ Участок 10 соток, кадастровый номер, приватизация
Продам участок 10 соток с коробкой дома в одном из самых популярных районов города — Царское село по ул. Татарская. Шевченковский р-н, правый берег. Дом построен из белого силикатного кирпича. По плану в доме полуподвал-убежище из двух помещений под всем домом и два полноценных этажа. На первом этаже гостиная, спальня, кабинет, кухня, санузел, терраса. На втором — три спальни, гардеробная, санузел, балкон. Есть рабочие проекты на постройку дома и на водопровод и канализацию. Участок правильной квадратной формы с небольшим уклоном, со сторонами по 31 м, площадью 10 соток, есть кадастровый номер и приватизация. На участке достаточно места для оборудования бассейна, спорт площадки для детей, посадок, хозпостроек. Коммуникации — электричество заведено на участок и подключено к щитку. Подъезд к дому — отсыпанная гравием дорога. Рядом жилые современные дома или ведется активная застройка. До супермаркетов 5 минут на авто, до центра 20 минут на авто. Документы в порядке.

Оптимальний вибір будинків, дач та земельних ділянок
Запропонуємо найкращий варіант у місті чи передмісті

Великий вибір земельних ділянок для будівництва вашого нового будинку
Вибираємо для вас земельну ділянку, пропонуємо послуги дизайну та будівництва будинків під ключ

Повний юридичний супровід клієнта
Супровід клієнта від моменту заявки, у момент та після здійснення угоди

10% знижка на продаж та купівлю нерухомості взамін
Компанія надає комплексне рішення щодо продажу та купівлі нової нерухомості взамін